| Tropical cyclones in 1995 | |
|---|---|
| Year boundaries | |
| First system | Bentha |
| Formed | January 2, 1995 |
| Last system | Dan |
| Dissipated | December 31, 1995 |
| Strongest system | |
| Name | Angela |
| Lowest pressure | 910 mbar (hPa); inHg |
| Longest lasting system | |
| Name | Luis |
| Duration | 15 days |
| Year statistics | |
| Total systems | 110 |
| Named systems | 74 |
| Total fatalities | 2182 |
| Total damage | $13.62 billion (1995 USD) |

During 1995, tropical cyclones formed within seven different bodies of water called basins. To date, 110 tropical cyclones formed, of which 74 were given names by various weather agencies. The strongest storm and the deadliest storm of the year was Typhoon Angela, which reached a minimum central pressure of 910 hPa (26.87 inHg) and caused a total of 936 deaths throughout the Philippines. The costliest storm of the year was Hurricane Opal, which caused $4.7 billion in damage throughout Central America and the Gulf Coast of the United States. The accumulated cyclone energy (ACE) index for the 1995 (seven basins combined), as calculated by Colorado State University was 779.3 units.
1995 was a slightly below-average year for tropical cyclone formation; the most active basin of the year was the Western Pacific basin, featuring a slightly below-average number of storms. The Northern Atlantic was highly active, becoming the fourth-most active hurricane season on record. Both the Eastern Pacific and the Northern Indian Ocean basins were below-average, with the Eastern Pacific featuring 11 systems, a record low for the basin. The Southern Hemisphere was relatively average, with the exception of the Southern Pacific, where both the 1994–95 and 1995–96 seasons became some of the most inactive seasons in the basin on record. Four Category 5 tropical cyclones were formed in 1995.
Global atmospheric and hydrological conditions
During the early months of 1995, an El Niño was still in effect throughout the Eastern Pacific, though by June it had transitioned into a La Niña as the waters cooled rapidly.[1]
Summary

Systems
January
January was an inactive month, featuring only 6 systems of which 5 attained gale-force winds and were named. Bentha stayed mostly out to sea, bringing rainfall and winds to the Mascarene Islands. Celeno was a rare tropical cyclone that formed in the Mediterranean Sea, making landfall on Libya. Dorina was the strongest storm of the month, peaking as an intense tropical cyclone. Fodah affected the landmasses surrounding the Mozambique Channel and Gail produced heavy gusts in the Mascarene Islands. Only 1 storm, 01W, was not part of the 1994–95 South-West Indian Ocean cyclone season.
| Storm name | Dates active | Max wind km/h (mph) |
Pressure (hPa) |
Areas affected | Damage (USD) |
Deaths | Refs |
|---|---|---|---|---|---|---|---|
| Bentha | January 2–6 | 85 (50) | 984 | Mascarene Islands, Tromelin Island | None | ||
| 01W | January 7–8 | 55 (35) | 1000 | Marshall Islands | None | None | |
| Celeno | January 14–17 | 55 (35) | Not specified | Libya | Unknown | Unknown | |
| Dorina | January 18–February 1 | 175 (110) | 925 | Mascarene Islands | None | ||
| Fodah | January 22–28 | 100 (65) | 970 | Mozambique, Madagascar | None | ||
| Gail | January 31–February 11 | 120 (75) | 970 | Mascarene Islands | None | ||
February
February was an extremely inactive month, featuring only 3 systems of which all 3 were named by their respective Regional Specialized Meteorological Centres. Heida, the first storm of the month, stayed out to sea, affecting no landmasses. Bobby became the strongest storm of the month, making landfall near Onslow on February 25, causing $8.5 million in damages and killing 8 people as a result. Ingrid was also a relatively strong storm, causing wind gusts over the Mascarene Islands.
| Storm name | Dates active | Max wind km/h (mph) |
Pressure (hPa) |
Areas affected | Damage (USD) |
Deaths | Refs |
|---|---|---|---|---|---|---|---|
| Heida | February 3–8 | 75 (45) | 990 | None | None | None | |
| Bobby | February 19–27 | 195 (120) | 925 | Western Australia, Northern Territory | $8.5 million | 8 | [2] |
| Ingrid | February 22–March 3 | 150 (90) | 945 | Mascarene Islands | None | ||
March
| Storm name | Dates active | Max wind km/h (mph) |
Pressure (hPa) |
Areas affected | Damage (USD) |
Deaths | Refs |
|---|---|---|---|---|---|---|---|
| Violet | March 2–8 | 155 (100) | 960 | Queensland | None | None | |
| Warren | March 4–7 | 150 (90) | 960 | Queensland, Northern Territory | None | None | |
| Josta | March 5–12 | 105 (65) | 972 | Tanzania, Mozambique, Comoros, Madagascar | None | ||
| Kylie | March 6–14 | 85 (50) | 984 | Mascarene Islands | None | ||
| Lidy | March 14–20 | 55 (35) | 996 | Mascarene Islands | None | [3] | |
| 18P | March 16–17 | 55 (35) | 1000 | Fiji | None | None | |
| Marlene | March 29–April 11 | 185 (115) | 920 | None | None | ||
April
April was an extremely inactive month, featuring only 4 systems, of which 2 had gale-force winds and were named. Chloe was the first storm of the month, reaching the highest category on the Australian scale, making it the strongest storm of the month. Chloe made landfall just shy of peak intensity. 20P was a short-lived system, lasting for only one day. Cyclone Agnes was a strong but also small cyclone, peaking as a Category-3 equivalent cyclone. Tropical Storm Chuck was the final storm of the month, staying out to sea for the duration of its life.
| Storm name | Dates active | Max wind km/h (mph) |
Pressure (hPa) |
Areas affected | Damage (USD) |
Deaths | Refs |
|---|---|---|---|---|---|---|---|
| Chloe | April 3–9 | 220 (140) | 920 | Western Australia, Northern Territory | None | None | |
| 20P | April 3–4 | 45 (30) | 1004 | None | None | None | |
| Agnes | April 16–23 | 185 (115) | 945 | Papua New Guinea | None | None | |
| Chuck | April 27–May 4 | 65 (40) | 998 | Marshall Islands, Caroline Islands | None | None | |
May
May was an exceptionally weak month, with none of the 7 systems that formed intensifying into tropical storms. BOB 01 and BOB 02 were the first storms of the month, with BOB 02 causing 39 fatalities in Andhra Pradesh. A tropical depression formed thereafter and became the strongest storm of the month, with a minimum central pressure of 996 hPa. BOB 03 formed a day later, killing 107 people in Odisha. One-E became the first storm of the 1995 Pacific hurricane season; it affected no landmasses. The month finished with 2 tropical depressions forming in the Western Pacific.
| Storm name | Dates active | Max wind km/h (mph) |
Pressure (hPa) |
Areas affected | Damage (USD) |
Deaths | Refs |
|---|---|---|---|---|---|---|---|
| BOB 01 | May 5–7 | 55 (35) | Not specified | South India | None | None | |
| BOB 02 | May 8–10 | 55 (35) | Not specified | Andhra Pradesh | None | 39 | [4] |
| TD | May 13–15 | Not specified | 996 | Ryukyu Islands | None | None | |
| BOB 03 | May 14–18 | 55 (35) | Not specified | Odisha | None | 107 | [4] |
| One-E | May 21–23 | 55 (35) | 1005 | None | None | None | |
| TD | May 24–25 | Not specified | 1008 | None | None | None | |
| TD | May 30–June 2 | 55 (35) | 1004 | South China | None | None | |
June
June was an inactive month, featuring 6 systems, of which 4 were named. Deanna was the first storm of the month, affecting the Philippines, Taiwan, and China. Allison was the second storm of the month and the first in the 1995 Atlantic hurricane season, peaking as a Category 1 hurricane and affecting the Southeastern United States. Tropical Storm Eli and 2 unnamed tropical depression in the Western Pacific were all weak and relatively short-lived. Hurricane Adolph was the last named storm and strongest storm of the month, having peaked with 1-min winds of 130 mph (210 km/h), making it a Category 4 hurricane.
| Storm name | Dates active | Max wind km/h (mph) |
Pressure (hPa) |
Areas affected | Damage (USD) |
Deaths | Refs |
|---|---|---|---|---|---|---|---|
| Deanna (Auring) | June 1–8 | 75 (45) | 996 | Philippines, Taiwan, Ryukyu Islands | None | None | |
| Allison | June 3–6 | 120 (75) | 987 | Yucatán Peninsula, Cuba, Florida, Georgia, Carolinas, Atlantic Canada | $1.7 million | 1 | [5] |
| Eli | June 4–9 | 55 (35) | 1002 | None | None | None | |
| TD | June 8–9 | Not specified | 1000 | South China | None | None | |
| Adolph | June 15–21 | 215 (130) | 948 | None | None | None | |
| TD | June 28–29 | Not specified | 1004 | Vietnam | None | None | |
July
| Storm name | Dates active | Max wind km/h (mph) |
Pressure (hPa) |
Areas affected | Damage (USD) |
Deaths | Refs |
|---|---|---|---|---|---|---|---|
| Barry | July 5–10 | 110 (70) | 990 | Atlantic Canada | None | None | |
| Barbara | July 7–18 | 220 (140) | 940 | None | None | None | |
| TD | July 7–8 | Not specified | 1000 | None | None | None | |
| Chantal | July 12–20 | 110 (70) | 991 | Atlantic Canada | None | None | |
| TD | July 16–19 | Not specified | 1006 | Vietnam | None | None | |
| Faye (Bebeng) | July 16–25 | 140 (85) | 950 | Mariana Islands, Ryukyu Islands, Korea | Unknown | 16 | [6] |
| Cosme | July 17–22 | 120 (75) | 985 | None | None | None | |
| Dalila | July 24–August 2 | 100 (65) | 994 | None | None | None | |
| 06W | July 25–29 | 55 (35) | 1004 | Philippines | None | None | |
| Dean | July 28–August 2 | 75 (45) | 999 | Texas | $500,000 | 1 | |
| Gary | July 28–August 2 | 100 (65) | 980 | Philippines, China | None | 2 | [7] |
| TD | July 28–30 | Not specified | 998 | South China, Vietnam | None | None | |
| TD | July 30 | Not specified | 1016 | None | None | None | |
| Erin | July 31–August 6 | 155 (100) | 973 | Bahamas, Jamaica, Eastern United States, Louisiana, Arkansas, Missouri | $700 million | 16 | [8][9] |
August
| Storm name | Dates active | Max wind km/h (mph) |
Pressure (hPa) |
Areas affected | Damage (USD) |
Deaths | Refs |
|---|---|---|---|---|---|---|---|
| Erick | August 1–8 | 100 (65) | 994 | None | None | None | |
| Six | August 5–7 | 55 (35) | 1002 | Mexico | None | None | |
| Flossie | August 7–14 | 130 (80) | 978 | Baja California Peninsula | $5 million | 1 | [10] |
| Helen (Karing) | August 7–13 | 110 (70) | 985 | Philippines, South China | None | None | |
| TD | August 7–8 | Not specified | 1010 | None | None | None | |
| Felix | August 8–22 | 220 (140) | 929 | Puerto Rico, Bermuda, East Coast of the United States, Atlantic Canada, Iceland, United Kingdom | $3.63 million | 9 | [11] |
| Gabrielle | August 9–12 | 110 (70) | 988 | Mexico, Texas | Minimal | 6 | [12] |
| Irving (Diding) | August 17–20 | 85 (50) | 990 | South China | None | None | |
| Gil | August 19–27 | 100 (65) | 993 | Mexico | Minimal | None | |
| Janis (Etang) | August 20–26 | 85 (50) | 990 | Philippines, Taiwan, Ryukyu Islands, Korea | $429 million | 45 | [13] |
| 11W | August 21–22 | 45 (30) | 1002 | Ryukyu Islands | None | None | |
| Humberto | August 22–September 1 | 175 (110) | 968 | None | None | None | |
| Iris | August 22–September 4 | 175 (110) | 965 | Leeward Islands, Europe | Unknown | 5 | [14][15] |
| Jerry | August 22–28 | 65 (40) | 1002 | Florida, Georgia, South Carolina, North Carolina | $40 million | 8 | [16] |
| TD | August 22–23 | Not specified | 1002 | None | None | None | |
| Kent | August 24–30 | 155 (100) | 945 | Philippines, Taiwan, China | $418.9 million | 52 | [17] |
| Lois | August 24–31 | 95 (60) | 980 | South China, Vietnam, Laos, Thailand | None | None | |
| Karen | August 26–September 3 | 85 (50) | 1000 | None | None | None | |
| Luis | August 27–September 11 | 240 (150) | 935 | Leeward Islands, Virgin Islands, Puerto Rico, Bermuda, Northeastern USA, Newfoundland | $3.3 billion | 19 | [18][19][20][21] |
| Mark | August 30–September 2 | 120 (75) | 985 | None | None | None | |
September
| Storm name | Dates active | Max wind km/h (mph) |
Pressure (hPa) |
Areas affected | Damage (USD) |
Deaths | Refs |
|---|---|---|---|---|---|---|---|
| Henriette | September 1–8 | 155 (100) | 970 | Mexico, Baja California Peninsula | None | None | |
| Nina (Helming) | September 2–7 | 75 (45) | 992 | Philippines, South Korea | None | None | |
| 16W | September 5–10 | 45 (30) | 1005 | Vietnam | None | None | |
| Fourteen | September 9–13 | 55 (35) | 1008 | None | None | None | |
| TD | September 9–10 | Not specified | 1006 | None | None | None | |
| Marilyn | September 12–22 | 185 (115) | 949 | Leeward Islands, Barbados, Martinique, Dominica, Guadeloupe, U.S. Virgin Islands, Puerto Rico, Bermuda | $2.5 billion | 13 | [22] |
| Ismael | September 12–16 | 130 (80) | 983 | Mexico, Southwestern United States | $26 million | 116 | [23][24] |
| Oscar | September 12–17 | 185 (115) | 925 | Japan | $6.7 million | 8 | [25] |
| Polly (Ising) | September 14–21 | 140 (85) | 960 | None | None | None | |
| BOB 04 | September 15–17 | 45 (30) | 998 | Myanmar, Odisha, East India | None | None | |
| Ryan (Luding) | September 15–24 | 155 (100) | 940 | Philippines, Taiwan, Japan | None | None | |
| Juliette | September 16–26 | 240 (150) | 930 | Revillagigedo Islands, Baja California Peninsula, California | None | None | |
| Noel | September 26–October 7 | 120 (75) | 987 | None | None | None | |
| BOB 05 | September 26–28 | 85 (50) | Not specified | West Bengal, East India | None | None | |
| Opal | September 27–October 5 | 240 (150) | 916 | Guatemala, Yucatán Peninsula, U.S. Gulf Coast, Ohio River Valley, Ontario | $4.7 billion | 63 | [26] |
| Sibyl (Mameng) | September 27–October 4 | 95 (60) | 985 | Philippines, China | $38.5 million | 108 | [27] |
| 21W | September 28–29 | 45 (30) | 1006 | Vietnam | None | None | |
| 22W | September 30–October 1 | 55 (35) | 1016 | None | None | None | |
October
| Storm name | Dates active | Max wind km/h (mph) |
Pressure (hPa) |
Areas affected | Damage (USD) |
Deaths | Refs |
|---|---|---|---|---|---|---|---|
| Pablo | October 4–8 | 95 (60) | 994 | None | None | None | |
| 23W | October 5–6 | 45 (30) | 1004 | Vietnam | None | None | |
| Roxanne | October 7–21 | 185 (115) | 956 | Mexico | $1.5 billion | 29 | [28][29] |
| Ted | October 7–14 | 95 (60) | 990 | Philippines, South China | None | None | |
| Val | October 8–14 | 75 (45) | 996 | Mariana Islands | None | None | |
| TD | October 11 | Not specified | 1006 | None | None | None | |
| ARB 01 | October 13–17 | 85 (50) | 996 | West India, Oman, Yemen, Somalia | None | None | |
| Ward (Neneng) | October 16–22 | 155 (100) | 940 | Mariana Islands | None | None | |
| Sebastien | October 20–25 | 100 (65) | 1001 | Lesser Antilles, Puerto Rico | None | None | |
| Yvette (Oniang) | October 23–27 | 95 (60) | 985 | Philippines, Vietnam, Cambodia, Laos, Thailand | Unknown | Unknown | |
| Zack (Pepang) | October 24–November 2 | 165 (105) | 950 | Caroline Islands, Philippines, Vietnam, Cambodia | None | 110 | [30] |
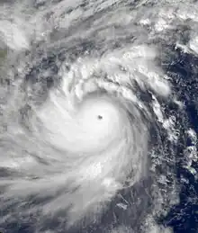
| Angela (Rosing) | October 25–November 7 | 215 (130) | 910 | Micronesia, Philippines, South China, Vietnam | $317 million | 936 | [31] |
| Tanya | October 27–November 1 | 140 (85) | 972 | Azores | Minimal | 1 | [32] |
November
November was an inactive month, with only 5 systems having formed in the month, of which 3 were named by their respective agencies. Brian was the first storm of the month, having stayed out to sea. BOB 06, also known as the 1995 India cyclone, caused extensive loss of life throughout India and Nepal, with a significant portion of the deaths being related to avalanches or landslides. Colleen was a weak and short-lived storm in the Western Pacific that stayed out to sea. Daryl–Agnielle was a strong cyclone that stayed out to sea, peaking as a Category 5 cyclone on the Saffir–Simpson scale and becoming the strongest storm of the month. BOB 07 was another deadly cyclone, killing 172 people, of which at least 100 were fishermen.
| Storm name | Dates active | Max wind km/h (mph) |
Pressure (hPa) |
Areas affected | Damage (USD) |
Deaths | Refs |
|---|---|---|---|---|---|---|---|
| Brian | November 1–3 | 75 (45) | 998 | Mariana Islands | None | None | |
| BOB 06 | November 6–10 | 120 (75) | 978 | India, Bangladesh, Nepal | $48.83 million | 236 | [19][33][34] |
| Colleen | November 13–14 | 55 (35) | 1004 | None | None | None | |
| Daryl–Agnielle | November 16–27 | 175 (110) | 925 | None | None | None | |
| BOB 07 | November 21–25 | 190 (115) | 956 | Sumatra, Myanmar, Bangladesh | Unknown | 172 | [19] |
December
| Storm name | Dates active | Max wind km/h (mph) |
Pressure (hPa) |
Areas affected | Damage (USD) |
Deaths | Refs |
|---|---|---|---|---|---|---|---|
| 32W/33W (Sendang) | December 1–4 | 55 (35) | 1004 | Philippines | None | 14 | |
| Emma | December 2–16 | 75 (45) | 990 | Christmas Island | Minor | None | [35] |
| Frank | December 6–13 | 175 (110) | 950 | Western Australia | Minor | None | [36] |
| 34W | December 7–14 | 55 (35) | 1002 | Vietnam | None | None | |
| Gertie | December 17–24 | 140 (85) | 965 | Western Australia | Minor | None | [37] |
| Dan (Trining) | December 25–31 | 100 (65) | 985 | Caroline Islands, Philippines | Unknown | Unknown | |
| B2 | December 28–31 | 55 (35) | 995 | Mascarene Islands | Unknown | Unknown | [38] |
Global effects
- ↑ The sum of the number of systems and fatalities in each basin will not equal the number shown as the total. This is because when systems move between basins, it creates a discrepancy in the actual number of systems and fatalities.
See also
Notes
2 Only systems that formed either on or after January 1, 1995 are counted in the seasonal totals.
3 Only systems that formed either before or on December 31, 1995 are counted in the seasonal totals.
4 The wind speeds for this tropical cyclone/basin are based on the IMD Scale which uses 3-minute sustained winds.
5 The wind speeds for this tropical cyclone/basin are based on the Saffir Simpson Scale which uses 1-minute sustained winds.
6 The wind speeds for this tropical cyclone/basin are based on Météo-France which uses wind gusts.
References
- ↑ "CPC: SPECIAL CLIMATE SUMMARY-96/1: CLIMATE CONDITIONS DURING THE 1995-96 NORTHERN HEMISPHERE WINTER". www.cpc.ncep.noaa.gov. March 1996. Retrieved 2021-03-02.
- ↑ Shepherd, I.J.; Bate, P.W. (June 1997). "The South Pacific and southeast Indian Ocean tropical cyclone season 1994–95" (PDF). Australian Meteorological Magazine. Bureau of Meteorology. 46 (2): 6.
- ↑ "NOAA's International Best Track Archive for Climate Stewardship (IBTrACS) data". IBTrACS. Retrieved 2021-02-13.
- 1 2 Report on cyclonic disturbances over north Indian Ocean during 1995 (PDF) (Report). India Meteorological Department. January 1996. p. 9. Retrieved 2015-11-23.
- ↑ Pasch, Richard J. (January 29, 1996). Hurricane Allison Preliminary Report (PDF) (Report). p. 3. Retrieved 2021-02-15.
- ↑ David Longshore (2008). "Faye, Typhoon Japan–Korea July 19–25, 1995". Encyclopedia of Hurricanes, Typhoons, and Cyclones, New Edition. New York: Facts on File. p. 176. ISBN 9781438118796. Retrieved 31 October 2015.
- ↑ Tropical Cyclones in 1995 (PDF) (Report). July 1996. p. 20. Archived from the original (PDF) on 2019-10-23. Retrieved 2021-02-18.
- ↑ "Plane Crash". The Gleaner. Kingston, Jamaica. August 4, 1995. p. 5. Retrieved January 4, 2020 – via Newspaperarchive.com.
- ↑ Rappaport, Edward N. (November 26, 1995). Preliminary Report: Hurricane Erin (PDF) (Report). Miami, Florida: National Hurricane Center. Retrieved January 28, 2020.
- ↑ "1 dead in storm flooding Tucson". Los Angeles Times. Associated Press. 1995-08-13. Archived from the original on 2013-04-12. Retrieved 2011-01-31.
- ↑ Max Mayfield; Jack Beven (1995-11-19). Hurricane Felix Preliminary Report (PDF) (Report). National Hurricane Center. Retrieved 2016-11-29.
- ↑ Dallas News (August 14, 1995). "Mexicans clean up after Tropical Storm Gabrielle". The Dallas News. Retrieved August 16, 2012.
- ↑ 1995 Annual Tropical Cyclone Report (PDF) (Report). p. 93. Retrieved February 19, 2021.
- ↑ Edward N. Rappaport (2000-11-02). "Hurricane Iris Preliminary Report" (PDF). National Hurricane Center. Retrieved 2016-11-29.
- ↑ "Iris blooms into a hurricane again, more storms form". The Tuscaloosa News. Associated Press. 1995-08-25. Retrieved 2011-01-11.
- ↑ Richard Pasch. Tropical Storm Jerry Report. Retrieved on 2008-03-06.
- ↑ Joint Typhoon Warning Center (1995). "JTWC Report on Kent" (PDF). United States Navy. p. 5. Archived from the original (PDF) on 2011-06-07. Retrieved 2007-05-01.
- ↑ Miles B. Lawrence (January 8, 1996). "Hurricane Luis Preliminary Report" (PDF). National Hurricane Center. Retrieved 2016-11-29.
- 1 2 3 Centre for Research on the Epidemiology of Disasters. "EM-DAT: The Emergency Events Database". Université catholique de Louvain.
- ↑ "Dominica – Hurricane Situation Report No.3". United Nations Department of Humanitarian Affairs. ReliefWeb. September 19, 1995. Retrieved August 15, 2011.
- ↑ "New York Event Report". National Climatic Data Center. 1995. Retrieved May 14, 2009.
- ↑ NOAA (2007). "Billion Dollar U.S. Weather Disaster" (PDF). NOAA. p. 3. Archived from the original (PDF) on 2006-11-22. Retrieved 2007-02-18.
- ↑ El Presidente de la Comisión Nacional (1996-07-30). "La Recomendación 64/96, del 30 de julio de 1996 por Huracan Ismael" (in Spanish). Comisión Nacional de los Derechos Humanos. Archived from the original on 2010-09-03. Retrieved 2010-04-12.
- ↑ Daniel Bitrán Bitrán (2001). "Caracterásticas del Impacto Socioeconómico de los Principales Desastres Ocurridos en México en el Período 1980 – 99" (PDF) (in Spanish). Centro Nacional de Prevención de Desastres. Archived from the original (PDF) on 2006-11-11. Retrieved 2006-11-09.
- ↑ Tropical Cyclones in 1995 (PDF) (Report). July 1996. p. 17. Archived from the original (PDF) on 2019-10-23. Retrieved 2021-02-21.
- ↑ Mayfield, Max. Hurricane Opal (PDF) (Preliminary Report). Miami, Florida: National Hurricane Center. Archived from the original on May 3, 2015. Retrieved April 20, 2015.
- ↑ Tropical Cyclones in 1995 (PDF) (Report). July 1996. p. 52. Archived from the original (PDF) on 2019-10-23. Retrieved 2021-02-21.
- ↑ Lixion A. Avila (November 29, 1995). "Hurricane Roxanne Preliminary Report" (PDF). National Hurricane Center. Retrieved November 16, 2019.
- ↑ Michael Krieger (2003): All the Men in the Sea. The Untold Story of One of the Greatest Rescues in History, Simon and Schuster
- ↑ 1995 Annual Tropical Cyclone Report (PDF) (Report). p. 175. Retrieved February 18, 2021.
- ↑ "THE DEADLIEST TYPHOONS OF THE PHILIPPINES (1947 – 2014)" (PDF).
- ↑ European Parliament (1995). "Resolution on Hurricane Tanya". European Union. Archived from the original on 2008-06-23. Retrieved 2006-12-13.
- ↑ "1995 Flood Archive". www.dartmouth.edu. Retrieved 2021-02-14.
- ↑ Richard Kattelmann; Tomomi Yamada (1997). Storms and Avalanches of November 1995, Khumbu Himal, Nepal (PDF). Proceedings International Snow Science Workshop. Retrieved 2015-11-30.
- ↑ Tropical Cyclone Emma Report (PDF) (Report). p. 1. Retrieved 2021-02-14.
- ↑ Severe Tropical Cyclone Frank Report (PDF) (Report). p. 2. Retrieved 2021-02-14.
- ↑ "Severe Tropical Cyclone Gertie". www.bom.gov.au. Retrieved 2021-02-14.
- ↑ "NOAA's International Best Track Archive for Climate Stewardship (IBTrACS) data". IBTrACS. Retrieved 2021-02-14.
External links
| Tropical cyclone year articles (1990–1999) |
|---|
| 1990, 1991, 1992, 1993, 1994, 1995, 1996, 1997, 1998, 1999 |
Regional Specialized Meteorological Centers
- US National Hurricane Center – North Atlantic, Eastern Pacific
- Central Pacific Hurricane Center – Central Pacific
- Japan Meteorological Agency – NW Pacific
- India Meteorological Department – Bay of Bengal and the Arabian Sea
- Météo-France – La Reunion – South Indian Ocean from 30°E to 90°E
- Fiji Meteorological Service – South Pacific west of 160°E, north of 25° S
Tropical Cyclone Warning Centers
- Meteorology, Climatology, and Geophysical Agency of Indonesia – South Indian Ocean from 90°E to 141°E, generally north of 10°S
- Australian Bureau of Meteorology (TCWC's Perth, Darwin & Brisbane) – South Indian Ocean & South Pacific Ocean from 90°E to 160°E, generally south of 10°S
- Papua New Guinea National Weather Service – South Pacific Ocean from 141°E to 160°E, generally north of 10°S
- Meteorological Service of New Zealand Limited – South Pacific west of 160°E, south of 25°S
This article incorporates public domain material from websites or documents of the National Weather Service.











